_Holz.jpg)
Specimen Type: holotype Sex: m Institution: Holzschuh Collection Photographer: Lubo Dembický Collection Location: East Nepal, Dhankuta, Arun-Valley, Lamobagar 36580
|
_Holzschuh_E-Nepal_Dhankuta_Arun-Valley_Lamobagar.jpg)
Specimen Type: holotype Sex: m Institution: Holzschuh Collection Determiner: Schrift. Forstlichen Bundesversuchsanstalt Collection Location: East Nepal, Dhankuta, Arun-Valley, Lamobagar 36579
|
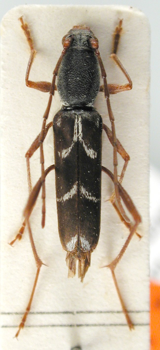
_CAS.jpg)
Specimen Type: paratype Institution: CAS California Academy of Sciences, San Francisco, CA, USA Photographer: Larry G. Bezark 36581
|
 Holz Arun Valley, E Nepal JCPC LGBC.jpg)
Institution: JCPC Jim Cope Collection, San Jose, California, USA now at CSCA, Sacramento Photographer: Larry G. Bezark Determiner: Jim Cope Collection Location: Arun Valley, E Nepal 98498
|
|