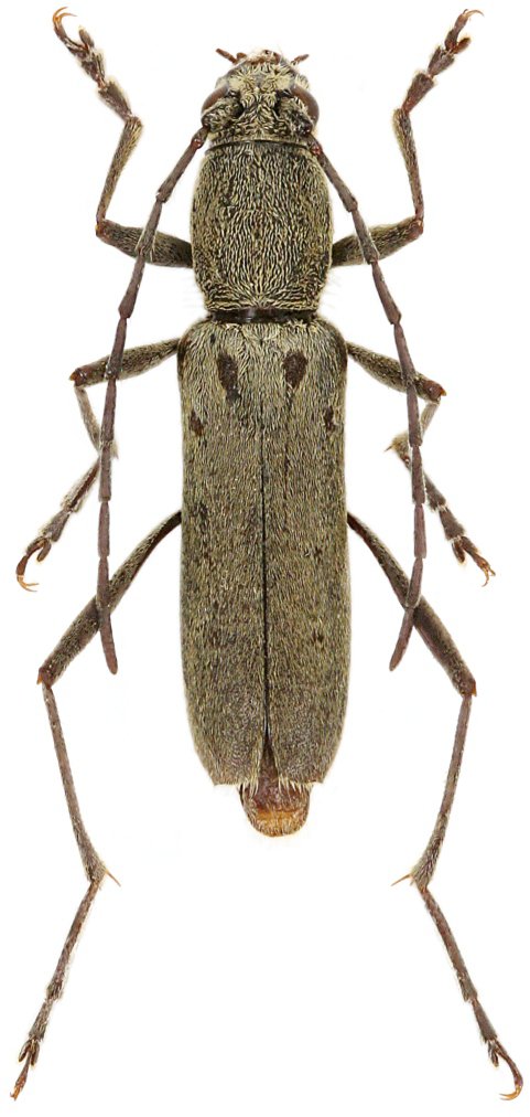
_Holzschuh_FBVA_75.jpg)
Specimen Type: holotype Sex: f Institution: Holzschuh Collection Determiner: Schrift. Forstlichen Bundesversuchsanstalt Collection Location: 35 km N of Lijiang, Heishui (27° 13' N, 100° 19' E), Yunnan, China 36551
|
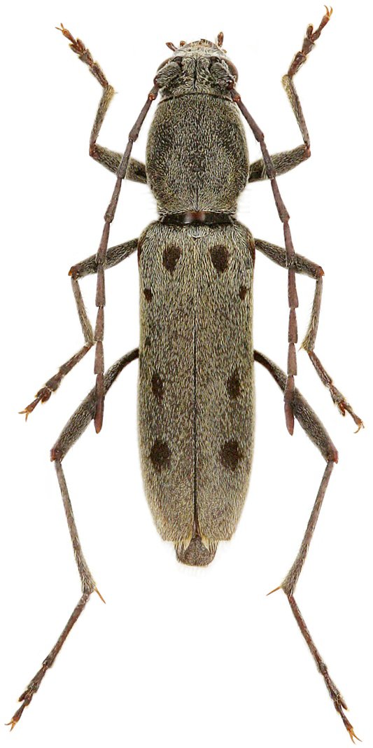
_Holzschuh_Dequen_Yunnan_China_Viktora_pic.jpg)
Sex: f Institution: Viktora Collection Photographer: Petr Viktora Collection Location: Dequen, Yunnan Province, China 75056
|