_Holz.jpg)
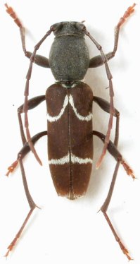
Specimen Type: holotype Sex: f Institution: Holzschuh Collection Photographer: Lubo Dembický Collection Location: Lijang, Hengduan Shan, Ludie, Yunnan, China 36541
|
_Holzschuh_China_Yunnan_Lijang_Hengduan_Shan_Ludie.jpg)
Specimen Type: holotype Sex: f Institution: Holzschuh Collection Determiner: Schrift. Forstlichen Bundesversuchsanstalt Collection Location: Lijang, Hengduan Shan, Ludie, Yunnan, China 36542
|