_Holz.jpg)
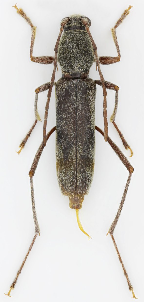
Specimen Type: holotype Sex: m Institution: Holzschuh Collection Photographer: Lubo Dembický Collection Location: Godawari, Kathmandu-Valley, Central Nepal 36537
|
_Holzschuh_C-Nepal_Kathmandu-Valley_Godawari.jpg)
Specimen Type: holotype Sex: m Institution: Holzschuh Collection Determiner: Schrift. Forstlichen Bundesversuchsanstalt Collection Location: Godawari, Kathmandu-Valley, Central Nepal 36538
|