_Pascoe_BMNH_India_Grammographus_Helena Maratheftis.jpg)
Clytus balyi Pascoe Specimen Type: holotype Institution: BMNH British Museum Natural History, London, UK Photographer: Helena Maratheftis Collection Location: India 65845
|
_Pascoe_BMNH_India_Grammographus_Helena Maratheftis.jpg)
Clytus balyi Pascoe Specimen Type: holotype Institution: BMNH British Museum Natural History, London, UK Photographer: Helena Maratheftis Collection Location: India 65846
|
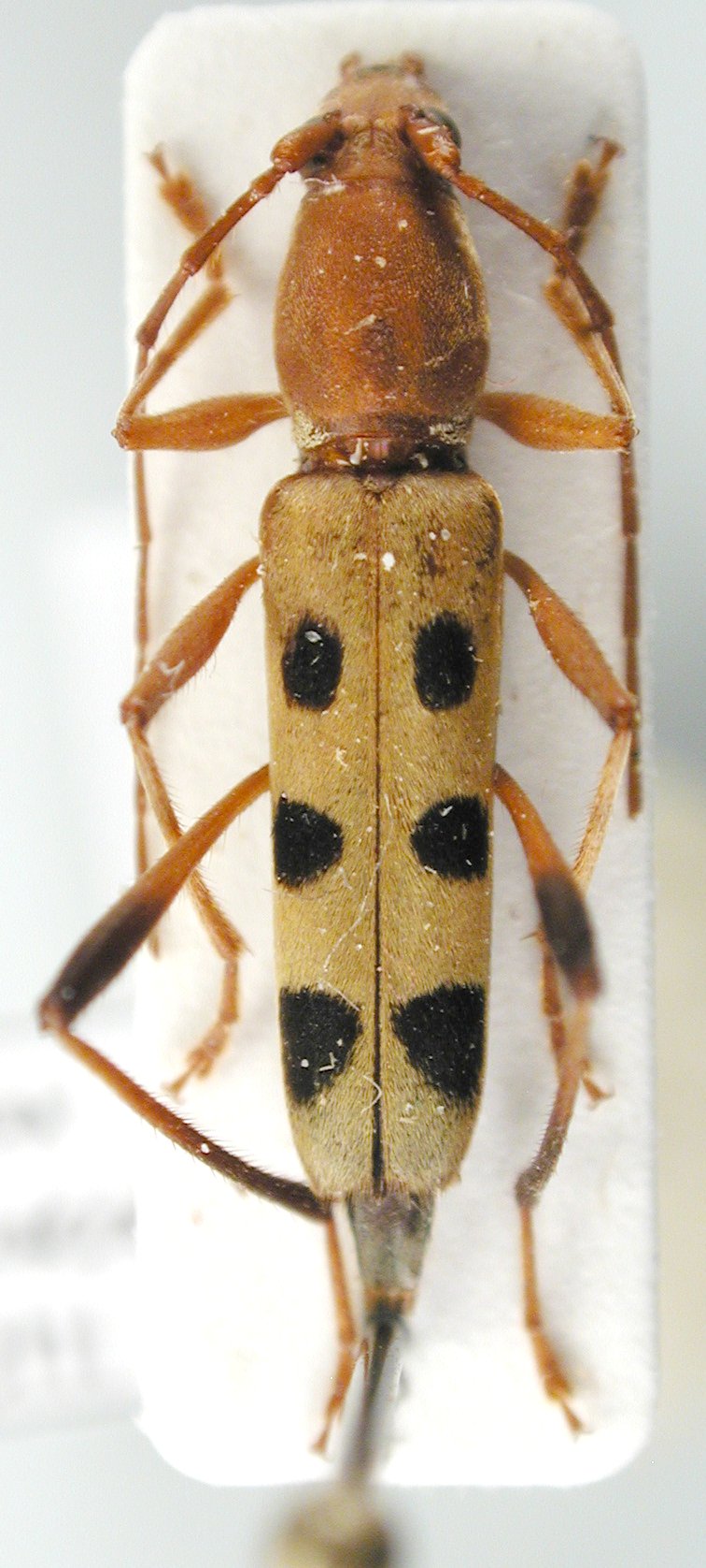
_Pascoe_BMNH_India_Grammographus_Helena Maratheftis.jpg)
Clytus balyi Pascoe Specimen Type: holotype Institution: BMNH British Museum Natural History, London, UK Photographer: Helena Maratheftis Collection Location: India 65847
|

Institution: LGBC Larry G. Bezark Collection, Sacramento, California, USA Photographer: Larry G. Bezark Collection Location: Nilgiri Hills, Tamil Nadu S India 36426
|

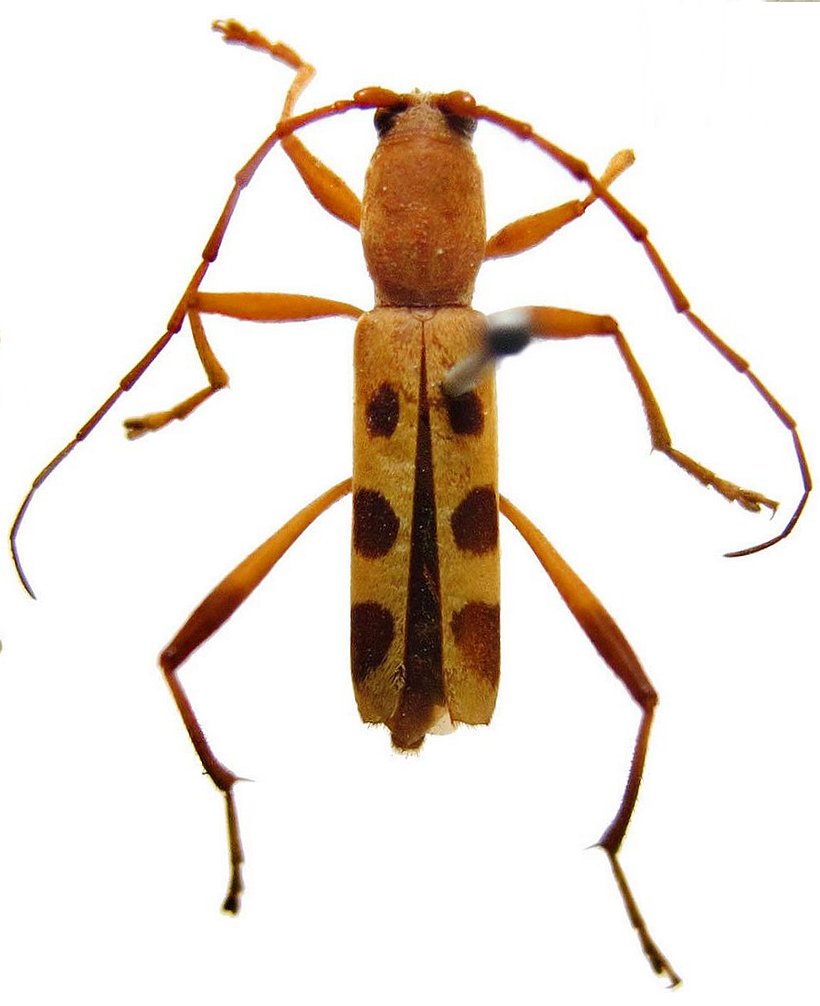
Sex: f Institution: JCPC Jim Cope Collection, San Jose, California, USA now at CSCA, Sacramento Photographer: Larry G. Bezark Determiner: Ole Mehl Collection Location: Nilgiri Hills, Tamil Nadu S India 98476
|

Sex: f Institution: JCPC Jim Cope Collection, San Jose, California, USA now at CSCA, Sacramento Photographer: Larry G. Bezark Determiner: Ole Mehl Collection Location: Nilgiri Hills, Tamil Nadu S India 98477
|
|