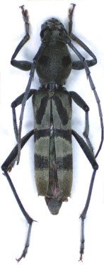
_Gressitt_Rond_BPBM_Nobuo_Ohbay.jpg)
Specimen Type: holotype Sex: m Institution: BPBM Bernice P. Bishop Museum, Honolulu, Hawaii, USA Photographer: Nobuo Ohbayashi Collection Location: Tha Ngone, Vientiane Province, Laos 43336
|

Institution: LGBC Larry G. Bezark Collection, Sacramento, California, USA Photographer: Larry G. Bezark Determiner: Xavier Gouverneur, Cerambycoidea Forum Collection Location: Chiang Mai, Thailand 50184
|

Institution: LGBC Larry G. Bezark Collection, Sacramento, California, USA Photographer: Larry G. Bezark Determiner: Xavier Gouverneur, Cerambycoidea Forum Collection Location: Chiang Mai, Thailand 50185
|

Photographer: Meiying Lin 41922
|
|