New Search Family, Subfamily and Tribe List

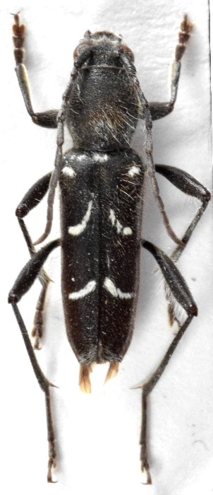
SubFamily Cerambycinae

Tribe Clytini
Clytus melaenus Bates 1884

Institution: LGBC Larry G. Bezark Collection, Sacramento, California, USA
Photographer: Larry G. Bezark
35578


Photographer: Francesco Vitali, Cerambycoidea Forum
Collection Location: Hosaka-machi, Nirasaki-shi, Yamanashi Prefecture, Japan
79080

130425