New Search Family, Subfamily and Tribe List

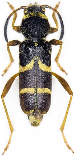
SubFamily Cerambycinae

Tribe Clytini
Clytus clavicornis Reiche 1860

Sex: f
Institution: Marcin Szewczyk Collection
Photographer: Marcin Szewczyk
Collection Location: Vallone Pomieri, Sicily, Italy
78648


Photographer: Michal Hoskovec
Collection Location: vic Bosco della Ficcuzza, Sicily, Italy
79073

130425