
Institution: LGBC Larry G. Bezark Collection, Sacramento, California, USA Photographer: Larry G. Bezark Collection Location: Hasanbeyii, Turkey 49331
|

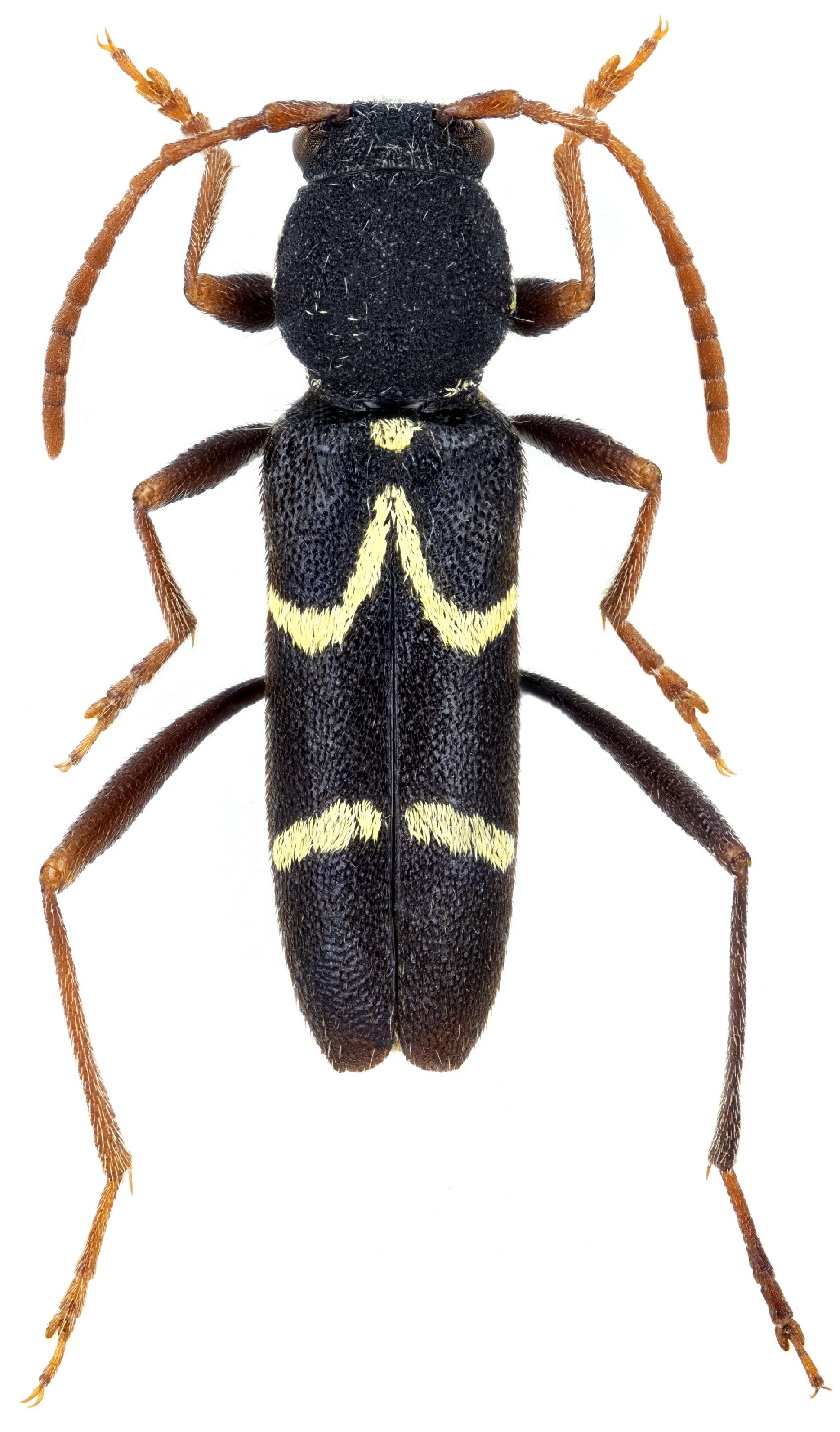
Photographer: David Navratil Collection Location: vic Avgadi, 35 km N Erdemli, Mersin Province, S Turkey 35562
|