New Search Family, Subfamily and Tribe List

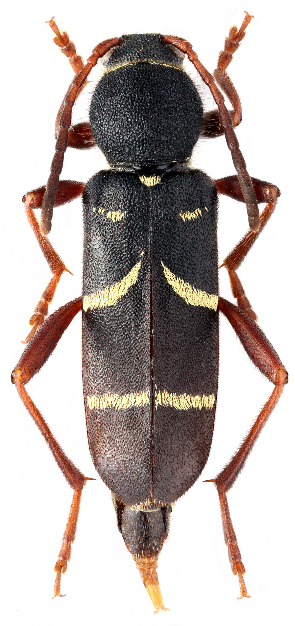
SubFamily Cerambycinae

Tribe Clytini
Clytus arietoides Reitter 1900

Photographer: O. E. Berlov
Collection Location: Irkutsk, E Siberia
35557


Photographer: Max Smirnov
Collection Location: Bolshaya Osinovka, Golec Mountain, Irkuskt Region, Siberia, Russia
79071


Photographer: O. E. Berlov
Collection Location: Irkutsk, E Siberia
35558

130425