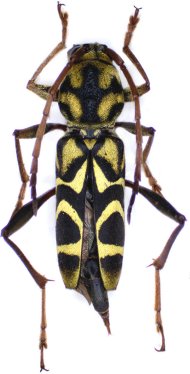
 Pic MNHN Tonkin,. Vietnam now Clytosaur siamensis XG.jpg)
Xylotrechus signaticollis Pic Specimen Type: holotype © MNHN Institution: MNHN Museum of Natural History Paris, France Photographer: Xavier Gouverneur Collection Location: Tonkin, Vietnam 77322
|

Institution: LGBC Larry G. Bezark Collection, Sacramento, California, USA Photographer: Larry G. Bezark Collection Location: Phja-den, Cao Bang Province, Vietnam 40992
|

Institution: NMNH United States National Museum, Washington, DC, USA Photographer: Steve Lingafelter Collection Location: Vietnam 37702
|

Photographer: Meiying Lin 41913
|
|