
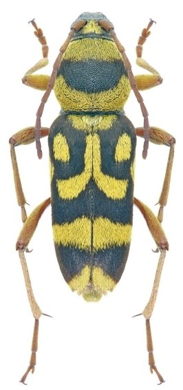
Clytus damascenus Chevrolat Specimen Type: holotype Institution: BMNH British Museum Natural History, London, UK Collection Location: Damas, Syria 35564
|

Institution: LGBC Larry G. Bezark Collection, Sacramento, California, USA Photographer: Larry G. Bezark Determiner: Pierre Haller, Cerambycoidea Forum Collection Location: Cairo, Egypt 50146
|

Institution: LGBC Larry G. Bezark Collection, Sacramento, California, USA Photographer: Larry G. Bezark Determiner: Pierre Haller, Cerambycoidea Forum Collection Location: Cairo, Egypt 50147
|
_Chevrolat)_Mt. Meron_Israel_Slutsky.jpg)
Sex: m Photographer: Aleksandr Slutsky Collection Location: Mt. Meron, Israel 75352
|
_Chevrolat)_Mt. Meron_Israel_Slutsky.jpg)
Sex: f Photographer: Aleksandr Slutsky Collection Location: Mt. Meron, Israel 75353
|
 vic Kiris, Kemer, Antalya Province, Turkey Nav Hosko.jpg)
Photographer: Navratil & Hoskovec Collection Location: vic Kiris, Kemer, Antalya Province, Turkey 79004
|
|