 Chevrolat BMNH N China now Chlorophorus KM.jpg)
Anthoboscus 13-mmaculatus Chevrolat Specimen Type: holotype Sex: f Institution: BMNH British Museum Natural History, London, UK Photographer: Keita Matsumoto Collection Location: N China 95211
|
 Chevrolat BMNH N China now Chlorophorus KM.jpg)
Anthoboscus 13-mmaculatus Chevrolat Specimen Type: holotype Sex: f Institution: BMNH British Museum Natural History, London, UK Photographer: Keita Matsumoto Collection Location: N China 95212
|
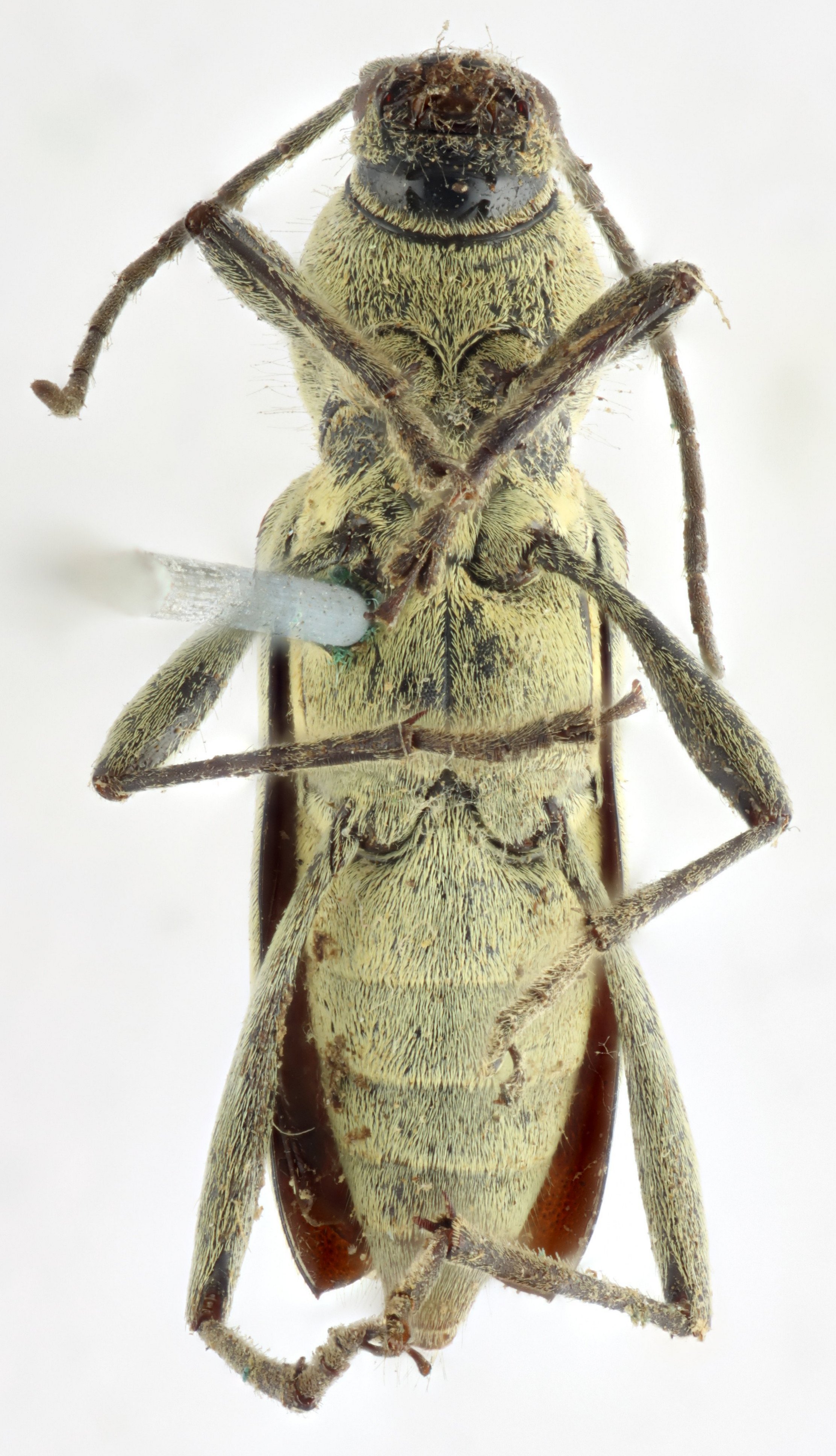
 Chevrolat BMNH N China now Chlorophorus KM.jpg)
Anthoboscus 13-mmaculatus Chevrolat Specimen Type: holotype Sex: f Institution: BMNH British Museum Natural History, London, UK Photographer: Keita Matsumoto Collection Location: N China 95213
|
_China_Vitali_Nagirnyi_photo.jpg)
Specimen Type: maybe this taxon Photographer: Vitali Nagirnyi, Cerambycoidea Forum Collection Location: China 48910
|

35160
|
|