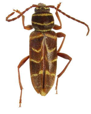
 Chevrolat MNHN Brazil now Mega boryi Moure.jpg)
Cyllene minuta Chevrolat Specimen Type: holotype Institution: MNHN Museum of Natural History Paris, France Photographer: JS Moure Collection Location: Brazil 100875
|
_MSZP_SS.jpg)
Institution: MZSP Museu de Zoologia da Universidade de São Paulo, Brazil Photographer: Antonio Santos-Silva 30596
|

30680
|
_CAS.jpg)
Institution: CAS California Academy of Sciences, San Francisco, CA, USA Photographer: Larry G. Bezark 9819
|
|