New Search Family, Subfamily and Tribe List

SubFamily Cerambycinae

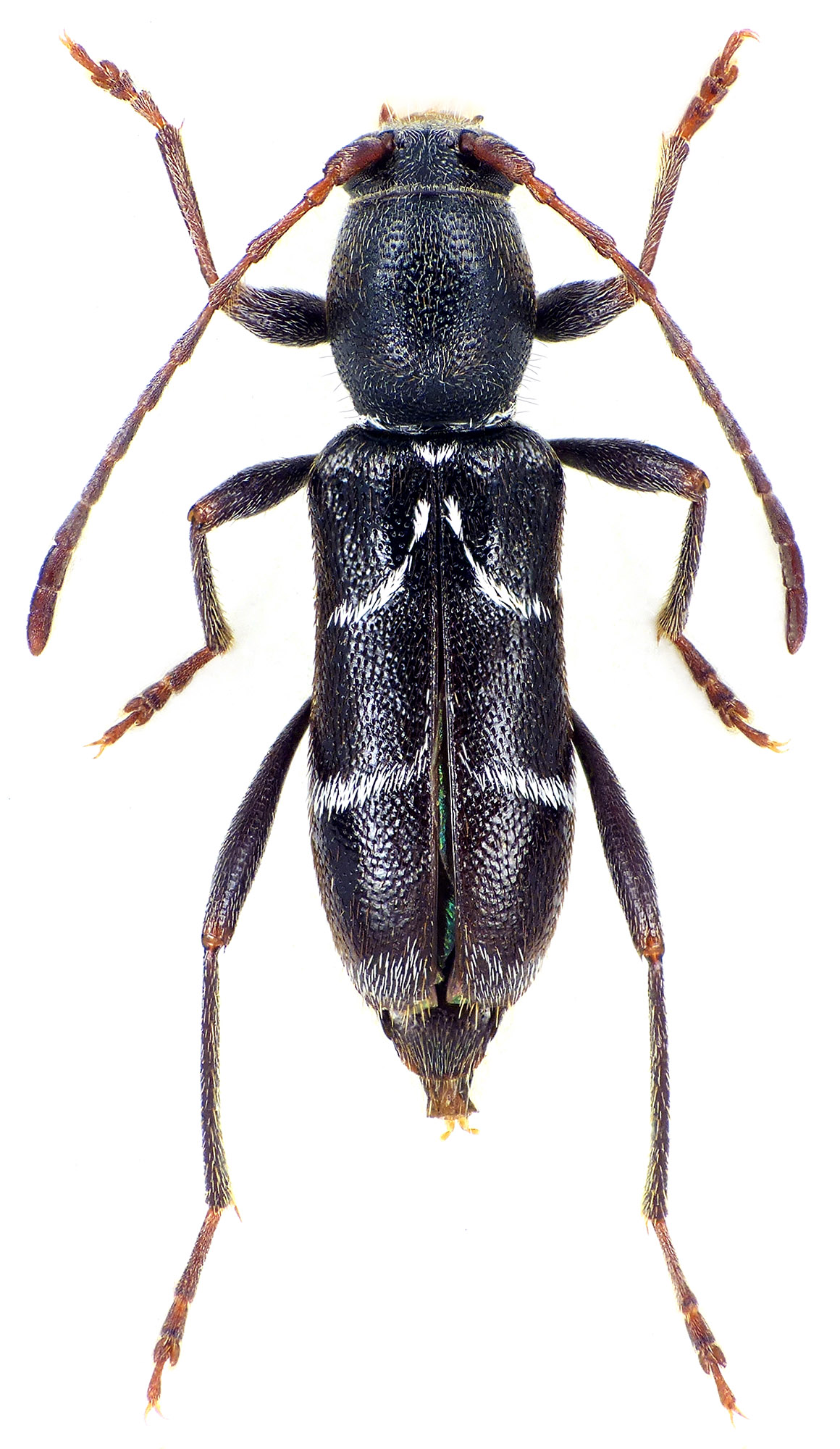
Tribe Clytini
Chlorophorus gratiosus sparsus (Reitter, 1886)

Institution: LGBC Larry G. Bezark Collection, Sacramento, California, USA
Photographer: Larry G. Bezark
Collection Location: Ashlanli, Turkey
49316


Photographer: Navratil & Hoskovec
Collection Location: vic Kemer, Antalya Province S Turkey
79008

130425