_Holzschuh_FBVA.jpg)
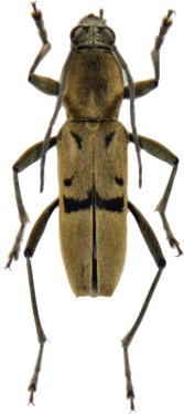
Specimen Type: holotype Sex: m Institution: Holzschuh Collection Determiner: Schrift. Forstlichen Bundesversuchsanstalt Collection Location: Chiang Mai, Maetaeng, Thailand 34981
|

Photographer: Gyula Vida, Cerambycoidea Forum Collection Location: N Laos 48888
|