New Search Family, Subfamily and Tribe List

SubFamily Cerambycinae

Tribe Clytini
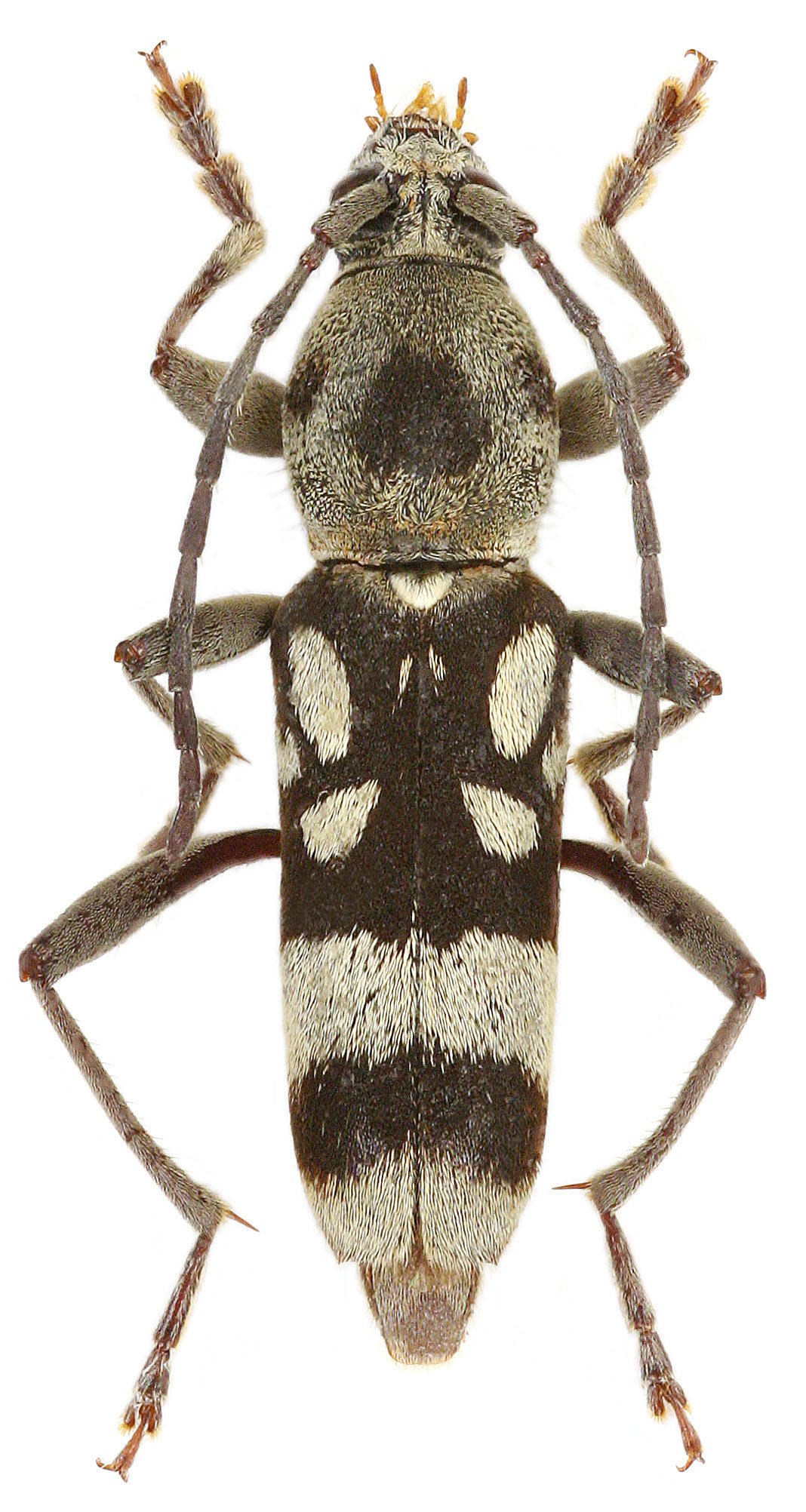
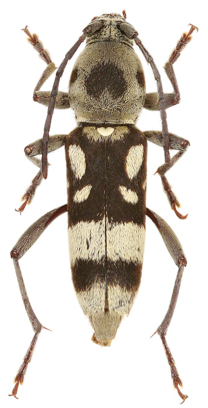
Chlorophorus anticemaculata Schwarzer 1925

Sex: m
Photographer: Petr Viktora
Collection Location: Taiwan
89557


Institution: CAS California Academy of Sciences, San Francisco, CA, USA
Photographer: Larry G. Bezark
34946


Sex: f
Photographer: Petr Viktora
Collection Location: Taiwan
89558

130425