_Chev_BMNH_RJ_Brazil_nowMegacyllene_LGB.jpg)
Cyllene anacantha Chevrolat Specimen Type: syntype Institution: BMNH British Museum Natural History, London, UK Photographer: Larry G. Bezark Collection Location: Rio de Janeiro, Brazil 46583
|
.jpg)
Cyllene anacantha Chevrolat Specimen Type: syntype Institution: BMNH British Museum Natural History, London, UK Photographer: John Chemsak Collection Location: Rio de Janeiro, Brazil 9774
|
_Chevrolat_BMNH_Hespenheide_FTH_=_Megacyllene.jpg)
Cyllene anacantha Chevrolat Specimen Type: syntype Institution: BMNH British Museum Natural History, London, UK Photographer: Henry Hespenheide Collection Location: Rio de Janeiro, Brazil 15935
|
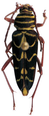
_Chevrolat_BMNH_JAC_=_Megacyllene.jpg)
Cyllene anacantha Chevrolat Specimen Type: syntype Institution: BMNH British Museum Natural History, London, UK Photographer: John Chemsak Collection Location: Rio de Janeiro, Brazil 15936
|

30678
|
_CAS.jpg)
Institution: CAS California Academy of Sciences, San Francisco, CA, USA Photographer: Larry G. Bezark 9773
|
|