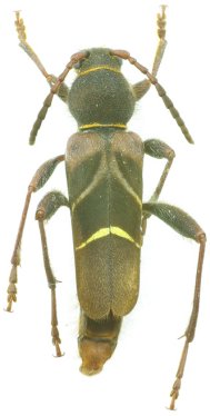
 Kraatz SDEI Amur, East Siberia, Russia Kevin Weißing pic.jpg)
Specimen Type: holotype Institution: SDEI Senckenberg Deutsches Entomologisches Institut, Müncheberg, Germany Photographer: Kevin Weißing Collection Location: Amur, East Siberia, Russia 34041
|
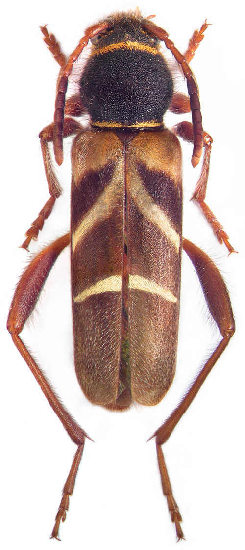
 Kraatz SDEI Amur, East Siberia, Russia Kevin Weißing pic.jpg)
Specimen Type: holotype Institution: SDEI Senckenberg Deutsches Entomologisches Institut, Müncheberg, Germany Photographer: Kevin Weißing Collection Location: Amur, East Siberia, Russia 95411
|

Photographer: Navratil & Hoskovec Collection Location: Azusayama, Kawakami, MInamisaku District, Nagano Prefecture, Japan 78902
|

Photographer: Shulin Yang, Cerambycoidea Forum Collection Location: Guizhou, China 45928
|

Photographer: Max Smirnov, Cerambycoidea Forum Collection Location: S Maritime Province, Russia 45929
|

Institution: CAS California Academy of Sciences, San Francisco, CA, USA Photographer: Larry G. Bezark 34039
|

Photographer: Denis Kasatkin Collection Location: Primorsk Region, Russia 34040
|
|