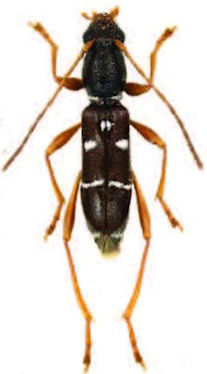
_Niisato_and_Han_Akuseki-jima_Island_NRyukyus_Japan.jpg)
Specimen Type: holotype Sex: m Institution: NMST National Science Museum (Nat. Hist.), Tokyo, Japan Photographer: Niisato & Han Determiner: Zookeys Collection Location: Akuseki-jima Island, Tokara Islands, N Ryukyus, Japan 31665
|
_Niisato_Akuseki-jima_Island_N_Ryukyus_Japan_Elytra.jpg)
Specimen Type: holotype, paratype Sex: mf Institution: NMST National Science Museum (Nat. Hist.), Tokyo, Japan Photographer: Niisato Determiner: Elytra, Tokyo Collection Location: Akuseki-jima Island, Tokara Islands, N Ryukyus, Japan 31666
|