
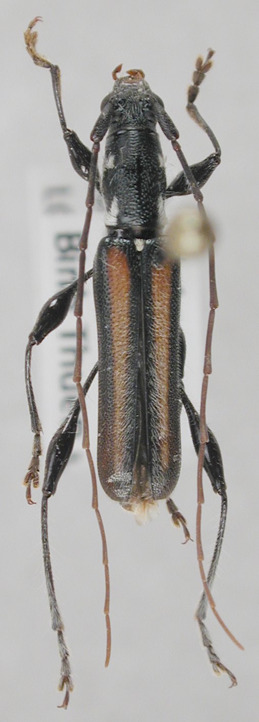
Institution: LGBC Larry G. Bezark Collection, Sacramento, California, USA Photographer: Larry G. Bezark Collection Location: Dong Tien, Binh Thuen Province, Vietnam 89409
|

Photographer: Meiying Lin 42941
|

Institution: CAS California Academy of Sciences, San Francisco, CA, USA Photographer: Larry G. Bezark 54415
|
|