New Search Family, Subfamily and Tribe List

SubFamily Cerambycinae

Tribe Cleomenini
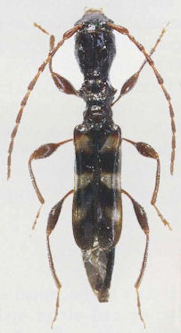
Diplothorax brevis Niisato 2008

Specimen Type: holotype
Sex: f
Institution: Yangtze Univ
Determiner: Japanese Journal of Systematic Entomology
Collection Location: Jimgzhou, Nanmuhe, Hubei Province, China
37789

130425