New Search Family, Subfamily and Tribe List

SubFamily Cerambycinae

Tribe Cleomenini
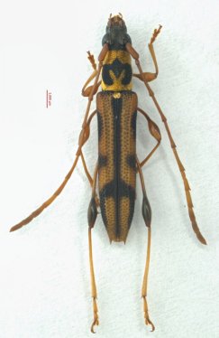
Cleomenes trinotatithorax Mitono 1944

Photographer: Sergei Troccoli, Cerambycoidea Forum
Determiner: Xavier Gouverneur, Cerambycoidea Forum
Collection Location: Nghe An, Vietnam
49059


Photographer: Bin Liu, Cerambycoidea Forum
Collection Location: Guangdong, China
52628

130425