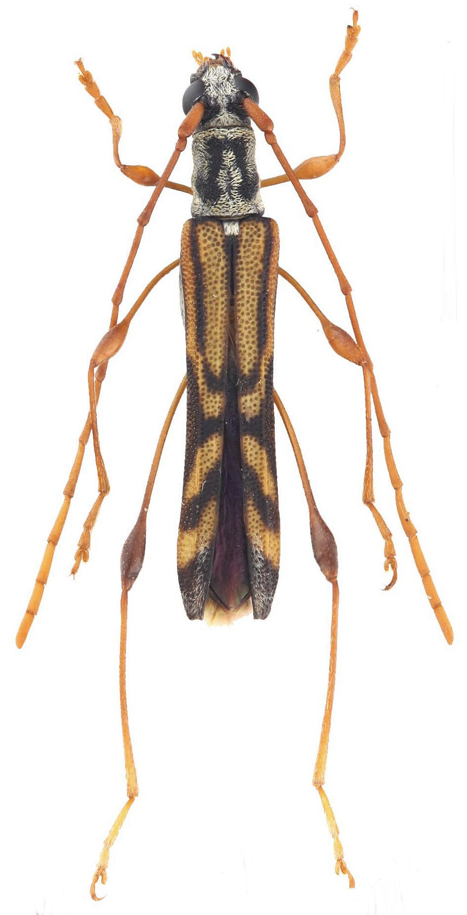
_Gressitt_IZAS.jpg)
Specimen Type: holotype Sex: m? Institution: IZASB Institute of Zoology, Academia Sinica, Beijing, China Photographer: Meiying Lin Collection Location: T'ien-mu-shan, Zhejiang, China 41907
|
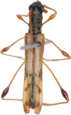
_Gressitt_IZAS.jpg)
Specimen Type: paratype Institution: IZASB Institute of Zoology, Academia Sinica, Beijing, China Photographer: Meiying Lin Collection Location: T'ien-mu-shan, Zhejiang, China 41908
|
 Gressitt YZU Niuqingshan, Songpan, Sichuan, China.jpg)
Sex: m Institution: YZU Insect Collection, College of Agriculture, Yangtze University, Jingzhou, China Photographer: Jian Sun Collection Location: Niuqingshan, Songpan, Sichuan, China 101492
|

Institution: NMNH United States National Museum, Washington, DC, USA Photographer: Steve Lingafelter Collection Location: Vietnam 37699
|
_CAS.jpg)
Institution: CAS California Academy of Sciences, San Francisco, CA, USA Photographer: Larry G. Bezark 35420
|

Institution: LGBC Larry G. Bezark Collection, Sacramento, California, USA Photographer: Larry G. Bezark Collection Location: Tianmushan, Zhejiang Province, China 49327
|
|