New Search Family, Subfamily and Tribe List

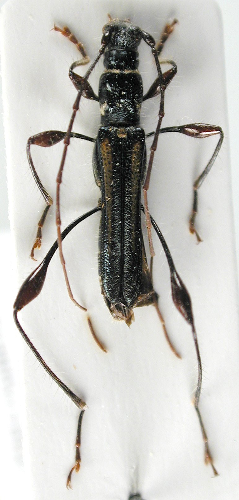
SubFamily Cerambycinae

Tribe Cleomenini
Artimpaza obscura Gardner 1926

Institution: JCPC Jim Cope Collection, San Jose, California, USA now at CSCA, Sacramento
Determiner: Andreas Weigel
Collection Location: 3 km E Tura, Meghalaya, NE India
32432

130425