_Ch_and_Nog_UNAM_Est_Biol_Chamela.jpg)
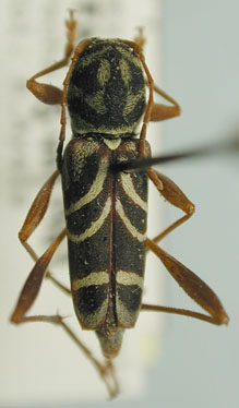
Mecometopus sarukhani Chemsak & Noguera Specimen Type: holotype Sex: f Institution: UNAM Instituto de Biología, Universidad Nacional Autónoma de México, Mexico City Photographer: Susan Gomez (UNAM) Collection Location: Estacion Biologia Chamela, Jalisco, Mexico 30076
|
_Ch_and_Nog_UNAM_Est_Biol_Chamela.jpg)
Mecometopus sarukhani Chemsak & Noguera Specimen Type: holotype Sex: f Institution: UNAM Instituto de Biología, Universidad Nacional Autónoma de México, Mexico City Photographer: Susan Gomez (UNAM) Collection Location: Estacion Biologia Chamela, Jalisco, Mexico 30077
|
_Ch_and_Nog_UNAM_Est_Biol_Chamela.jpg)
Mecometopus sarukhani Chemsak & Noguera Specimen Type: holotype Sex: f Institution: UNAM Instituto de Biología, Universidad Nacional Autónoma de México, Mexico City Photographer: Susan Gomez (UNAM) Collection Location: Estacion Biologia Chamela, Jalisco, Mexico 30078
|
_Ch_and_Nog_UNAM_Est_Biol_Chamela.jpg)
Mecometopus sarukhani Chemsak & Noguera Specimen Type: holotype Sex: f Institution: UNAM Instituto de Biología, Universidad Nacional Autónoma de México, Mexico City Photographer: Susan Gomez (UNAM) Collection Location: Estacion Biologia Chamela, Jalisco, Mexico 30079
|

Institution: UCB Essig Museum of Entomology, Berkeley, California, USA Photographer: Larry G. Bezark Collection Location: Chamela, Mexico 9736
|
|