 Pic MNHN Yunnan Province, China Tava pic.jpg)
Specimen Type: holotype Sex: f Institution: MNHN Museum of Natural History Paris, France Photographer: Gerard Tavakilian Collection Location: Yunnan Province, China 90947
|
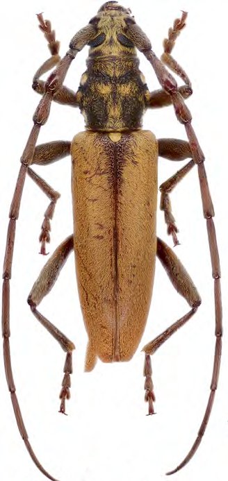
 Pic ZIN Hanoi City, Vietnam Mirosh pic.jpg)
Sex: m Institution: ZIN Russian Academy of Sciences, Zoological Institute, St. Petersburg, Russia Photographer: Alexandr Miroshnikov Collection Location: Hanoi City, Vietnam 90948
|