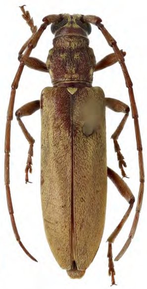
 Pascoe BMNH N China now Margites Mirosh pic.jpg)
Cerambyx fulvidus Pascoe Specimen Type: holotype Sex: f Institution: BMNH British Museum Natural History, London, UK Photographer: Alexandr Miroshnikov Collection Location: N China 52100
|
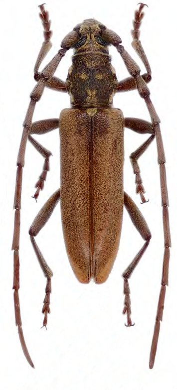
 (Pascoe) Mirosh pic.jpg)
Sex: m Photographer: Alexandr Miroshnikov 90913
|
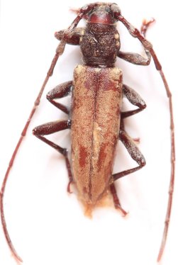
_Taiwan_Cope.jpg)
Institution: BPBM Bernice P. Bishop Museum, Honolulu, Hawaii, USA Photographer: Jim Cope Collection Location: Taiwan 52099
|
_Kueishan_Mt_Hinoki_Taiwan_TARI.jpg)
Institution: TARI Taiwan Agriculture Research Institute, Taichung Determiner: Mitono Collection Location: Kueishan, Mt Hinoki, Taiwan 52102
|
_(Pascoe)_Kueishan_Mt_Hinoki_Taiwan_TARI.jpg)
Institution: TARI Taiwan Agriculture Research Institute, Taichung Determiner: Mitono Collection Location: Kueishan, Mt Hinoki, Taiwan 52103
|
_(Pascoe)_Kueishan_Mt_Hinoki_Taiwan_TARI.jpg)
Institution: TARI Taiwan Agriculture Research Institute, Taichung Determiner: Mitono Collection Location: Kueishan, Mt Hinoki, Taiwan 52104
|
_Hunan_China_Horshehden.jpg)
Photographer: Tomas Tichy Collection Location: Hunan, China 52101
|
|