 Pascoe BMNH N China now Margites Mirosh pic.jpg)
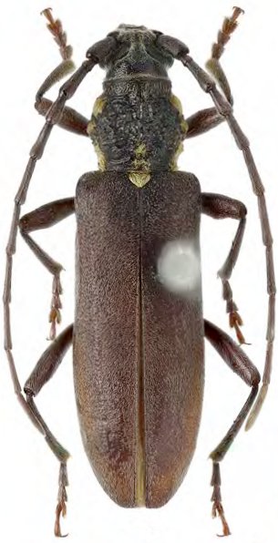
Cerambyx egenus Pascoe Specimen Type: holotype Sex: f Institution: BMNH British Museum Natural History, London, UK Photographer: Alexandr Miroshnikov Collection Location: N China 90912
|

Sex: m Institution: CAS California Academy of Sciences, San Francisco, CA, USA Photographer: Larry G. Bezark 52097
|