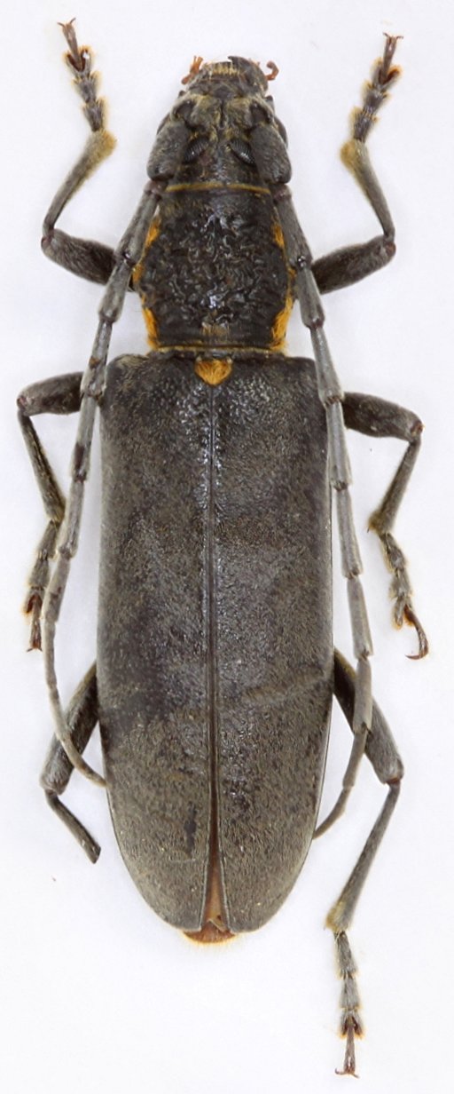
 Pic MNHN Xujiahui, China Tava pic.jpg)
Specimen Type: syntype Sex: m Institution: MNHN Museum of Natural History Paris, France Photographer: Gerard Tavakilian Collection Location: Xujiahui, China 90940
|
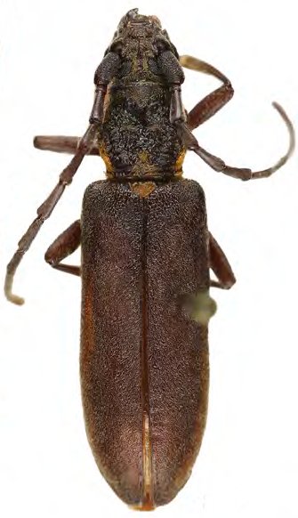
 Pic MNHN Xujiahui, China Tava pic.jpg)
Specimen Type: syntype Sex: f Institution: MNHN Museum of Natural History Paris, France Photographer: Gerard Tavakilian Collection Location: Xujiahui, China 90941
|