 Chevrolat BMNH New Grenada, Colombia now Miriclytus Moure.jpg)
Neoclytus quadrifasciatus Chevrolat Specimen Type: syntype Institution: BMNH British Museum Natural History, London, UK Photographer: JS Moure Collection Location: New Grenada, Colombia 17475
|
_Chevrolat_BMNH_JAC_=_Mecometopus.jpg)
Neoclytus quadrifasciatus Chevrolat Specimen Type: syntype Institution: BMNH British Museum Natural History, London, UK Photographer: John Chemsak Collection Location: New Grenada, Colombia 17476
|
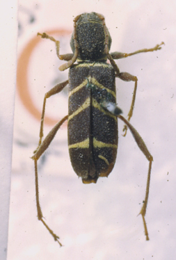
.jpg)
Neoclytus quadrifasciatus Chevrolat Specimen Type: syntype Institution: BMNH British Museum Natural History, London, UK Photographer: John Chemsak Collection Location: New Grenada, Colombia 9730
|
 Bates BMNH Volcan de Chiriquí, Panama now Miri quadr Moure.jpg)
Mecometopus solidicornis Bates Specimen Type: holotype Institution: BMNH British Museum Natural History, London, UK Photographer: JS Moure Collection Location: Volcan de Chiriquí, Panama 17353
|
_Bates_BMNH_JAC.jpg)
Mecometopus solidicornis Bates Specimen Type: holotype Institution: BMNH British Museum Natural History, London, UK Photographer: John Chemsak Collection Location: Volcan de Chiriquí, Panama 17354
|
_Rev_Bras_Ent.jpg)
25024
|
|