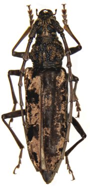
_Gahan_Phja-Den_Vietnam_SWL.jpg)
Sex: m Institution: NMNH United States National Museum, Washington, DC, USA Photographer: Steve Lingafelter Collection Location: Phja-Den, Cao Bang Province, Vietnam 37573
|
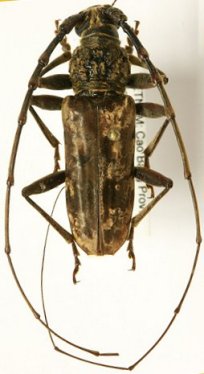
_Gahan_Phja-Den_Vietnam_SWL.jpg)
Sex: f Institution: NMNH United States National Museum, Washington, DC, USA Photographer: Steve Lingafelter Collection Location: Phja-Den, Cao Bang Province, Vietnam 37574
|

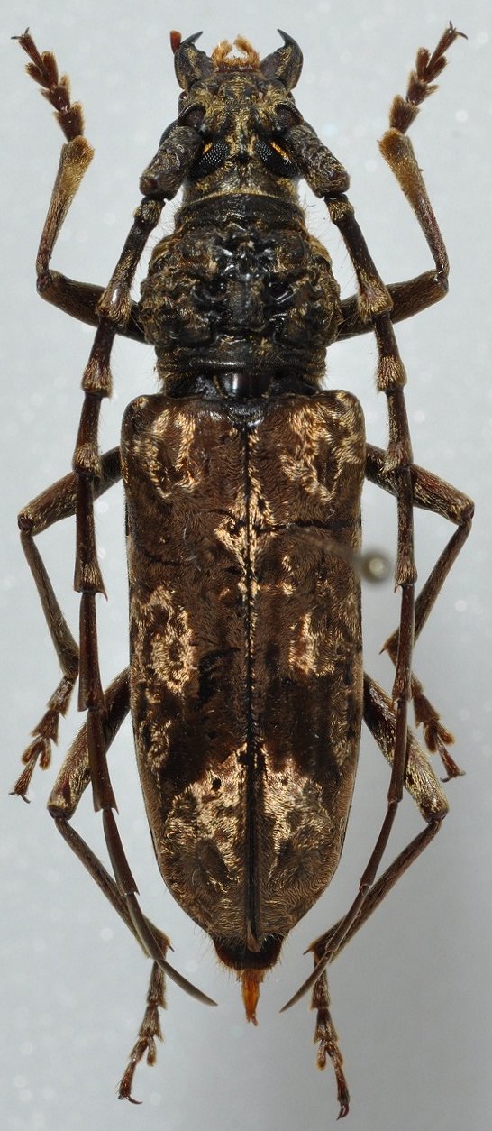
Photographer: Meiying Lin 41805
|
_Gahan_Ban_Saluei_Hua_Phan_NE_Laos_GC.jpg)
Sex: m Photographer: Gerard Chemin, Cerambycoidea Forum Collection Location: Ban Saluei, Hua Phan, NE Laos 66253
|
_Gahan_Yunnan_China_Pierre_Haller_det_Francesco.jpg)
Sex: f Photographer: Pierre Haller, Cerambycoidea Forum Determiner: Francesco Vitali, Cerambycoidea Forum Collection Location: Yunnan, China 66254
|
_Gahan_Hua_Phan_NE_Laos_XG.jpg)
Sex: f Photographer: Xavier Gouverneur, Cerambycoidea Forum Collection Location: Hua Phan, NE Laos 66255
|
|