_Chevrolat_MNHN_FTH.jpg)
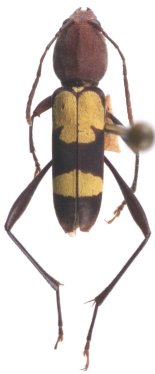
Mecometopus placens Chevrolat Specimen Type: holotype Institution: MNHN Museum of Natural History Paris, France Collection Location: Brazil 17338
|

Institution: BMNH British Museum Natural History, London, UK Photographer: JS Moure 101964
|

Photographer: Marcela Monne Collection Location: Itatiaia National Park, Rio de Janeiro, Brazil 27845
|
|