
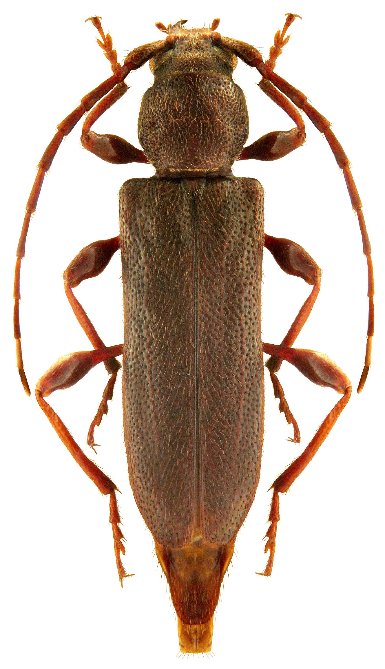
Photographer: Udo Schmidt Collection Location: Daokthan, Reshian, Azad Jammu, Kashmir, Pakistan 80213
|

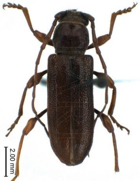
Institution: CAS California Academy of Sciences, San Francisco, CA, USA Photographer: Larry G. Bezark 66222
|

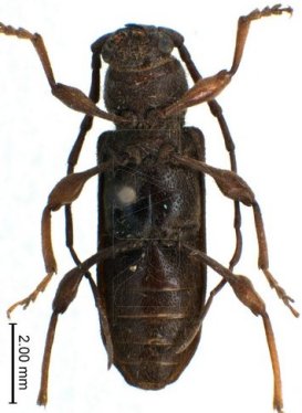
Institution: TARI Taiwan Agriculture Research Institute, Taichung Collection Location: Mussoorie, Uttarakhand, India 66223
|
_Bates_Mussoorie_Uttarakhand_India_TARI.jpg)
Institution: TARI Taiwan Agriculture Research Institute, Taichung Collection Location: Mussoorie, Uttarakhand, India 66224
|
_Bates_Mussoorie_Uttarakhand_India_TARI.jpg)
Institution: TARI Taiwan Agriculture Research Institute, Taichung Collection Location: Mussoorie, Uttarakhand, India 66225
|
|