New Search Family, Subfamily and Tribe List

SubFamily Cerambycinae

Tribe Callidiopini
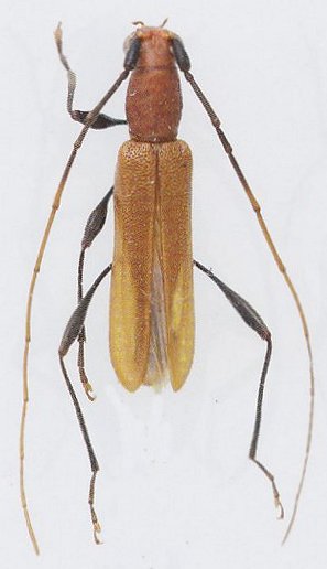
Stenodryas punctatella Holzschuh 1999

Sex: m
Photographer: Meiying Lin
Collection Location: Qinling Mountains, China
73452

130425