_Gressitt_Rond_BPBM_Nobuo_Ohbay.jpg)
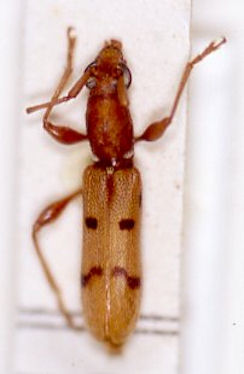
Stenodryas tripunctatus Gressitt & Rondon Specimen Type: holotype Sex: f Institution: BPBM Bernice P. Bishop Museum, Honolulu, Hawaii, USA Photographer: Nobuo Ohbayashi Collection Location: Phon Tiou, Khammouane Province, Laos 45426
|

Stenodryas tripunctatus Gressitt Institution: BPBM Bernice P. Bishop Museum, Honolulu, Hawaii, USA Photographer: Jim Cope Collection Location: Laos 62137
|