_Gressitt_Rond_BPBM_Nobuo_Ohbay.jpg)
Salpinia laosensis Gressitt & Rondon Specimen Type: holotype Sex: m Institution: BPBM Bernice P. Bishop Museum, Honolulu, Hawaii, USA Photographer: Nobuo Ohbayashi Collection Location: Pakkading, Borikhane Province, Laos 45378
|
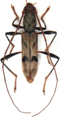
_CAS.jpg)
Salpinia laosensis Gressitt & Rondon Specimen Type: paratype Institution: CAS California Academy of Sciences, San Francisco, CA, USA Photographer: Larry G. Bezark Collection Location: Pakkading, Borikhane Province, Laos 60479
|