
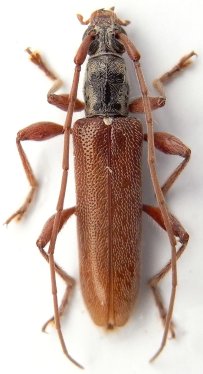
Photographer: Xavier Gouverneur, Cerambycoidea Forum Collection Location: N Laos 49048
|

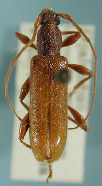
Institution: TARI Taiwan Agriculture Research Institute, Taichung Determiner: T. Mitono Collection Location: Puli, Nantou, Taiwan 39804
|
_White_Puli_Nantou_Taiwan_TARI.jpg)
Institution: TARI Taiwan Agriculture Research Institute, Taichung Determiner: T. Mitono Collection Location: Puli, Nantou, Taiwan 39805
|
_White_Puli_Nantou_Taiwan_TARI.jpg)
Institution: TARI Taiwan Agriculture Research Institute, Taichung Determiner: T. Mitono Collection Location: Puli, Nantou, Taiwan 39806
|
_White_Puli_Nantou_Taiwan_TARI.jpg)
Institution: TARI Taiwan Agriculture Research Institute, Taichung Determiner: T. Mitono Collection Location: Puli, Nantou, Taiwan 39807
|

Institution: CAS California Academy of Sciences, San Francisco, CA, USA Photographer: Larry G. Bezark 34613
|

Determiner: Longicorn Beetles of Hainan & Guangdong 34615
|
|