
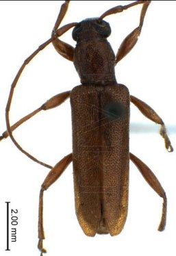
Institution: TARI Taiwan Agriculture Research Institute, Taichung Determiner: T. Shiraki Collection Location: Puli, Nantou, Taiwan 39787
|
_Bates_Puli_Nantou_Taiwan_TARI.jpg)
Institution: TARI Taiwan Agriculture Research Institute, Taichung Determiner: T. Shiraki Collection Location: Puli, Nantou, Taiwan 39788
|
_Bates_Puli_Nantou_Taiwan_TARI.jpg)
Institution: TARI Taiwan Agriculture Research Institute, Taichung Determiner: T. Shiraki Collection Location: Puli, Nantou, Taiwan 39789
|
_Bates_Puli_Nantou_Taiwan_TARI.jpg)
Institution: TARI Taiwan Agriculture Research Institute, Taichung Determiner: T. Shiraki Collection Location: Puli, Nantou, Taiwan 39790
|

Institution: TARI Taiwan Agriculture Research Institute, Taichung Collection Location: Hikosan, Kyushu, Japan 39791
|

Institution: JCPC Jim Cope Collection, San Jose, California, USA now at CSCA, Sacramento Photographer: Larry G. Bezark Determiner: Jim Cope Collection Location: Arida, Wakayama Prefecture, Japan 98386
|
|