_Chevrolat_MNHN_FTH.jpg)
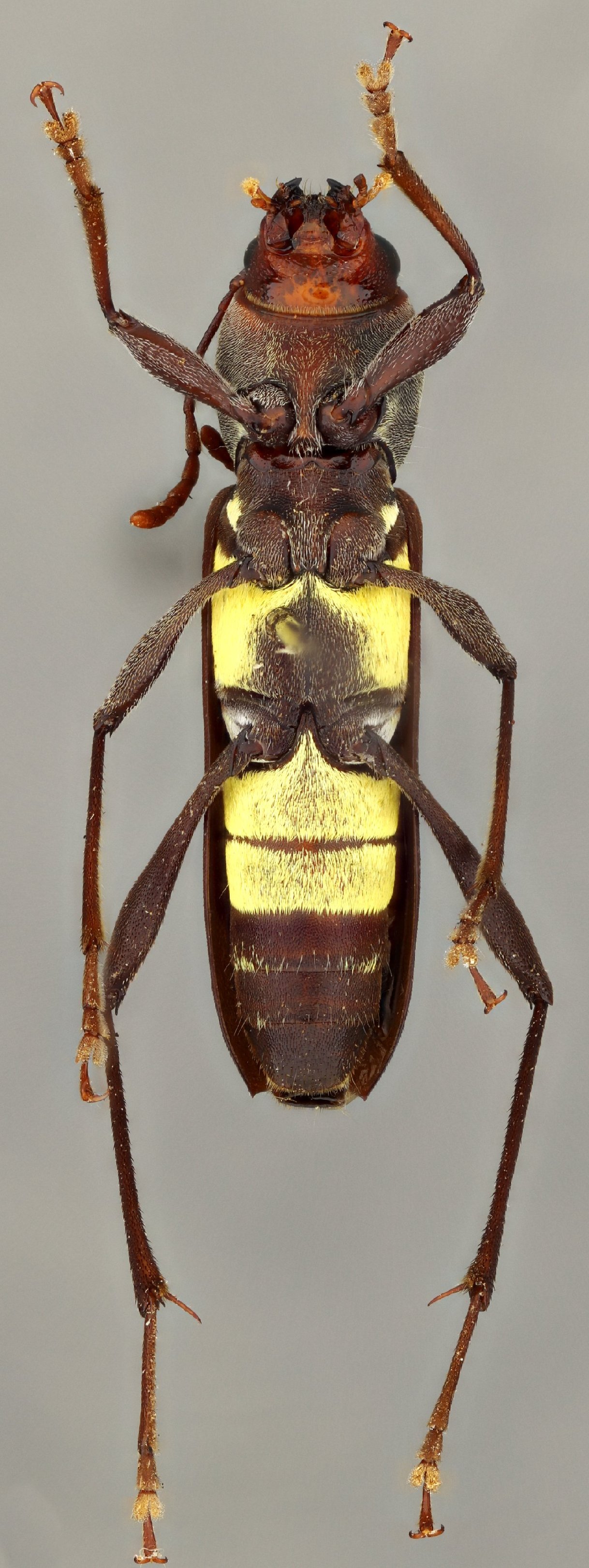
Mecometopus mniszechii Chevrolat Specimen Type: holotype Sex: m Institution: MNHN Museum of Natural History Paris, France Collection Location: Brazil 17334
|
 Chevrolat MNHN Brazil now Pirango Moure.jpg)
Mecometopus mniszechii Chevrolat Specimen Type: holotype Sex: m Institution: MNHN Museum of Natural History Paris, France Photographer: JS Moure Collection Location: Brazil 9721
|
_G_M_MZSP_Itu_Faz_Pau_d'Alho_SP_Braz_now_Pirango_mnisz_SS.jpg)
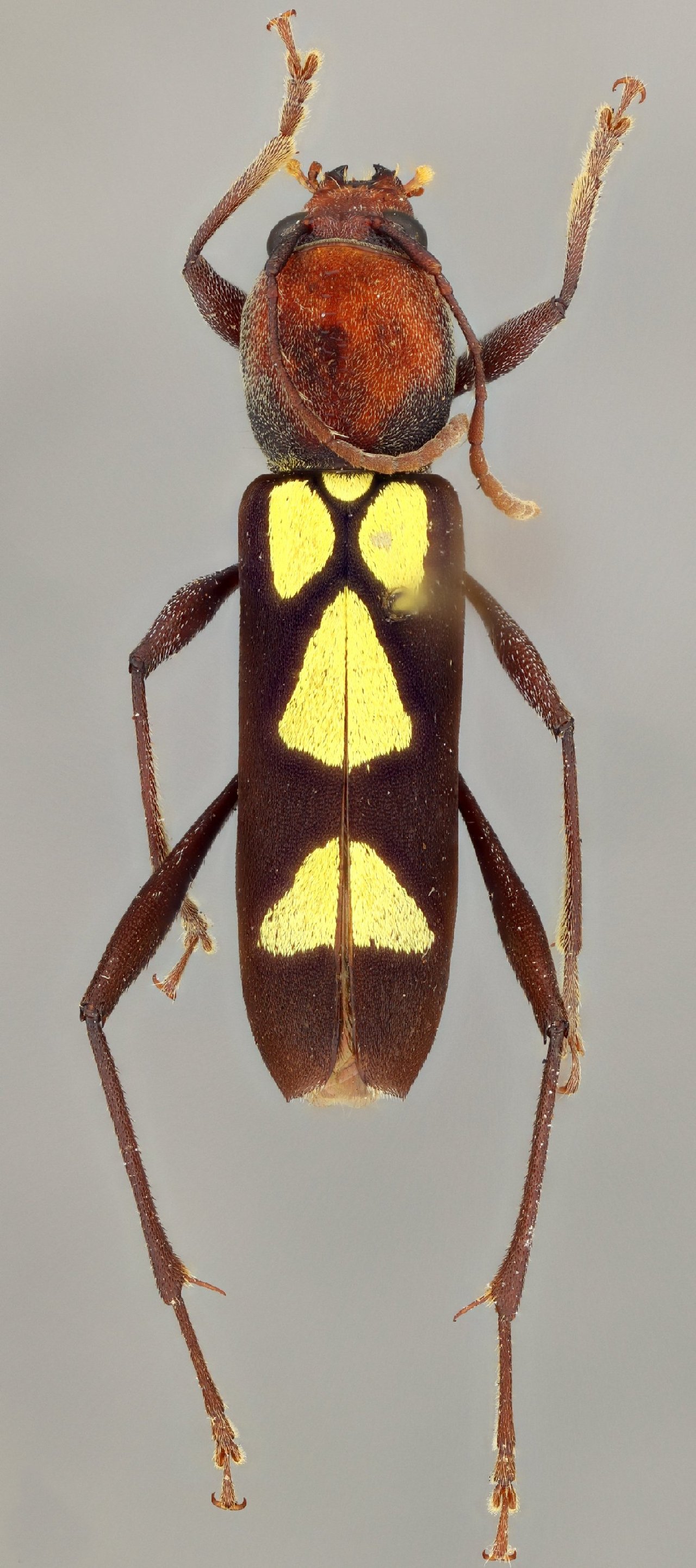
Mecometopus mendosus Galileo & Martins Specimen Type: holotype Sex: f Institution: MZSP Museu de Zoologia da Universidade de São Paulo, Brazil Photographer: Antonio Santos-Silva Collection Location: Itu, Fazenda Pau d'Alho, Sao Paolo, Brazil 70670
|
_G_M_MZSP_Itu_Faz_Pau_d'Alho_SP_Braz_now_Pirango_mnisz_SS.jpg)
Mecometopus mendosus Galileo & Martins Specimen Type: holotype Sex: f Institution: MZSP Museu de Zoologia da Universidade de São Paulo, Brazil Photographer: Antonio Santos-Silva Collection Location: Itu, Fazenda Pau d'Alho, Sao Paolo, Brazil 70671
|
_G_M_MZSP_Barro_doSao_Fransicso_Corrego_Ita_ES_Braz_now_mnisz_SS.jpg)
Mecometopus mendosus Galileo & Martins Sex: m Institution: MZSP Museu de Zoologia da Universidade de São Paulo, Brazil Photographer: Antonio Santos-Silva Collection Location: Barro do Sao Francisco, Corrego Ita, Espirito Santo, Brazil 70674
|
_G_M_MZSP_Rio_de_Janeiro_RJ_Braz_now_mnisz_SS.jpg)
Mecometopus mendosus Galileo & Martins Sex: m Institution: MZSP Museu de Zoologia da Universidade de São Paulo, Brazil Photographer: Antonio Santos-Silva Collection Location: Barro do Sao Francisco, Corrego Ita, Espirito Santo, Brazil 70675
|
_G_M_MZSP_Rio_Guandu_ES_Braz_now_mnisz_SS.jpg)
Mecometopus mendosus Galileo & Martins Sex: f Institution: MZSP Museu de Zoologia da Universidade de São Paulo, Brazil Photographer: Antonio Santos-Silva Collection Location: Rio Guandu, Espirito Santo, Brazil 70676
|
_G_M_MZSP_Rio_Guandu_ES_Braz_now_mnisz_SS.jpg)
Mecometopus mendosus Galileo & Martins Sex: f Institution: MZSP Museu de Zoologia da Universidade de São Paulo, Brazil Photographer: Antonio Santos-Silva Collection Location: Rio Guandu, Espirito Santo, Brazil 70677
|
_G_M_MZSP_Barro_doSao_Fransicso_Corrego_Ita_ES_Braz_now_mnisz_SS.jpg)
Mecometopus mendosus Galileo & Martins Sex: f Institution: MZSP Museu de Zoologia da Universidade de São Paulo, Brazil Photographer: Antonio Santos-Silva Collection Location: Barro do Sao Francisco, Corrego Ita, Espirito Santo, Brazil 70678
|
_R_Rosa_painting.jpg)
Pirangoclytus mendosus Martins & Galileo Photographer: R. Rosa, painting 30663
|