
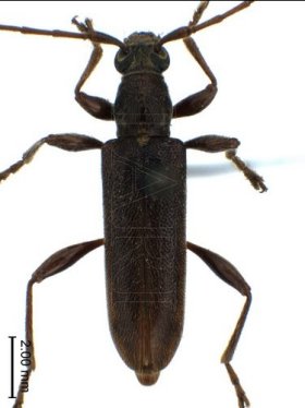
Institution: CAS California Academy of Sciences, San Francisco, CA, USA Photographer: Larry G. Bezark 34565
|

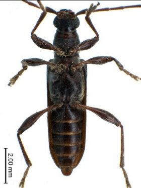
Institution: TARI Taiwan Agriculture Research Institute, Taichung Determiner: T. Mitono Collection Location: Yaku-cho, Kyushu, Japan 39772
|
_Mats_and_Mats_Yaku-cho_Kyushu_Japan_TARI.jpg)
Institution: TARI Taiwan Agriculture Research Institute, Taichung Determiner: T. Mitono Collection Location: Yaku-cho, Kyushu, Japan 39773
|
_Mats_and_Mats_Yaku-cho_Kyushu_Japan_TARI.jpg)
Institution: TARI Taiwan Agriculture Research Institute, Taichung Determiner: T. Mitono Collection Location: Yaku-cho, Kyushu, Japan 39774
|
_Mats_and_Mats_Yaku-cho_Kyushu_Japan_TARI.jpg)
Institution: TARI Taiwan Agriculture Research Institute, Taichung Determiner: T. Mitono Collection Location: Yaku-cho, Kyushu, Japan 39775
|
_Mats_and_Mats_Yaku-cho_Kyushu_Japan_TARI.jpg)
Institution: TARI Taiwan Agriculture Research Institute, Taichung Determiner: T. Mitono Collection Location: Yaku-cho, Kyushu, Japan 39776
|

34566
|
|