New Search Family, Subfamily and Tribe List

SubFamily Cerambycinae

Tribe Callidiopini
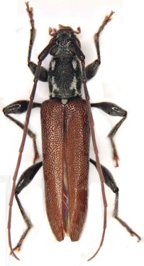
Ceresium fallaciosum Holzschuh 1995

Specimen Type: holotype
Sex: m
Institution: Holzschuh Collection
Determiner: Schrift. Forstlichen Bundesversuchsanstalt
Collection Location: Mae Hong Son, Ban Huai Po, NW Thailand
34555


Photographer: Meiying Lin
41884

130425