New Search Family, Subfamily and Tribe List

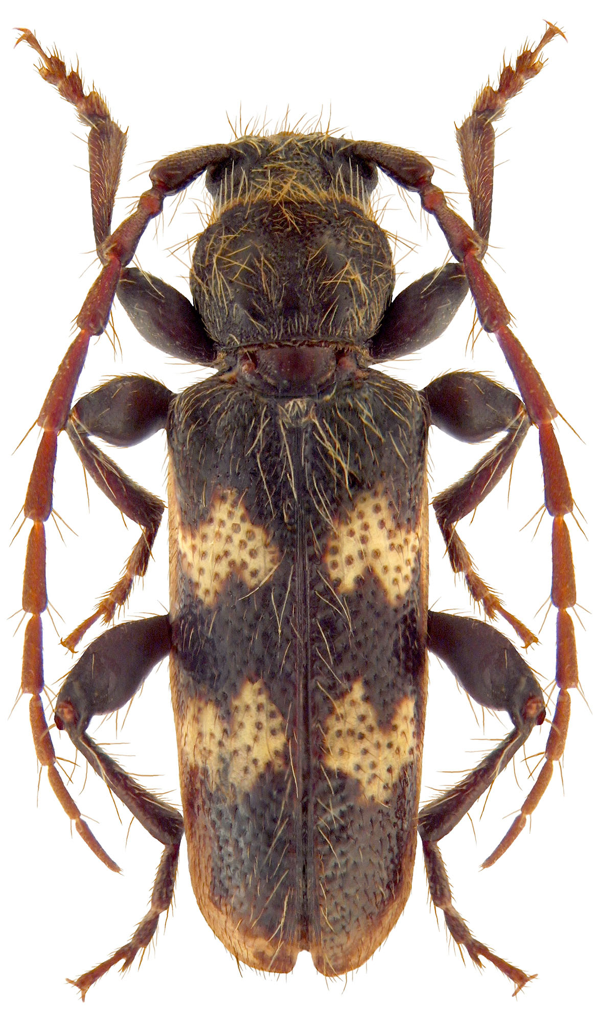
SubFamily Cerambycinae

Tribe Callidiini
Semanotus undatus (Linnaeus, 1758)

Institution: CAS California Academy of Sciences, San Francisco, CA, USA
Photographer: Larry G. Bezark
60812


Photographer: Udo Schmidt
Collection Location: Garmisch-Patrtenkirchen, Oberbayern, Bavaria, Germany
60813


Photographer: Denis Kasatkin
60814


Photographer: Milan Slama
Collection Location: Slovakia, Czech Republic
76709

130425