New Search Family, Subfamily and Tribe List

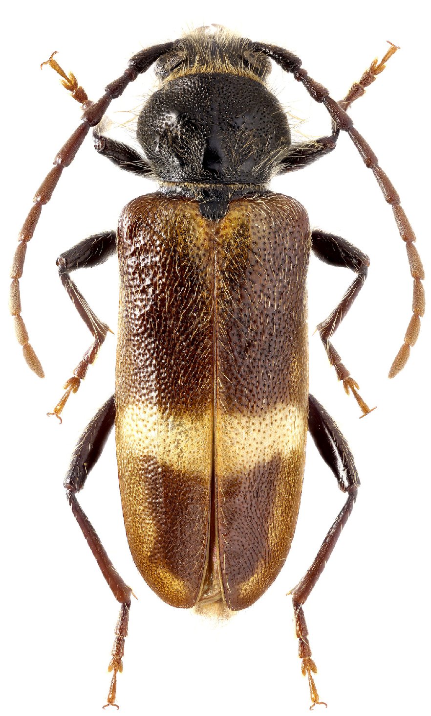
SubFamily Cerambycinae

Tribe Callidiini
Semanotus semenovi Okunev 1933

Photographer: Abdysalom Kadyrov
Collection Location: Tajikistan
59321


Photographer: Kirill V. Makarov
Collection Location: vic Sharg'un, Gissar Range, Surxondaryo Region, Uzbekistan
80002

130425