New Search Family, Subfamily and Tribe List

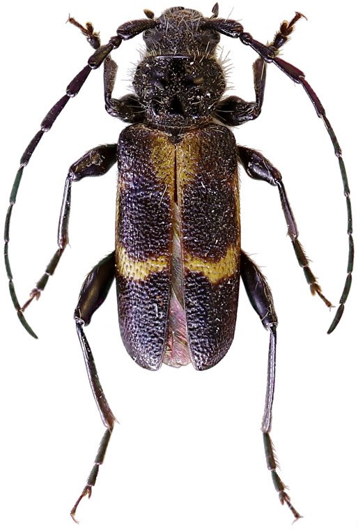
SubFamily Cerambycinae

Tribe Callidiini
Semanotus algiricus Pic 1905

Institution: Trocoli Collection
Photographer: Sergei Troccoli
Collection Location: Zad, Morocco
75164


Sex: mf
Photographer: David Navratil
Collection Location: vic Azrou, Fes-Meknes Region, Ifrane Province, Morocco
79999

130425