_Melzer_MZSP_Mafra_SC_Braz_=_Unaiuba_SS.jpg)
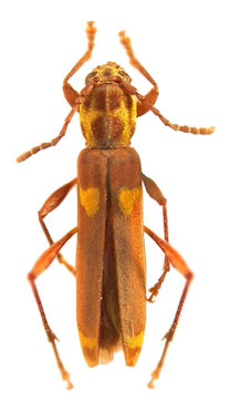
Mecometopus ludicrus Melzer Specimen Type: holotype Institution: MZSP Museu de Zoologia da Universidade de São Paulo, Brazil Photographer: Antonio Santos-Silva Collection Location: Mafra, Santa CCatarina, Brazil 30632
|

Mecometopus ludicrus Melzer Specimen Type: holotype Institution: MZSP Museu de Zoologia da Universidade de São Paulo, Brazil Collection Location: Mafra, Santa Catarina, Brazil 22998
|