_Bates_MNHN_FTH.jpg)
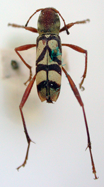
Mecometopus latecinctus Bates Specimen Type: holotype Sex: m Institution: MNHN Museum of Natural History Paris, France Collection Location: São Paulo de Olivença, Amazonas, Brazil 17325
|

Mecometopus nubicollis Zajciw Photographer: Jim Wappes Collection Location: Bolivia 9724
|