New Search Family, Subfamily and Tribe List

SubFamily Cerambycinae

Tribe Callidiini
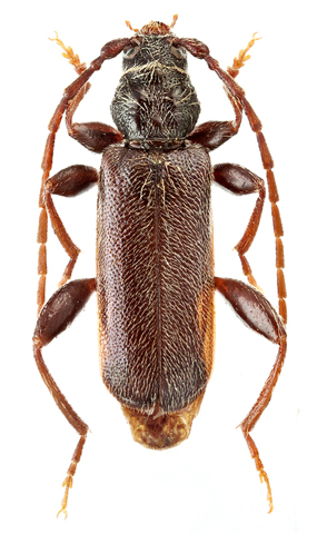
Phymatodes pusillus pusillus (Fabricius, 1787)

Photographer: Boza & Sedlacek
Collection Location: Krivoklatsko, Czech Republic
75967


Institution: LGBC Larry G. Bezark Collection, Sacramento, California, USA
Photographer: Larry G. Bezark
56797


Sex: m
Photographer: Szczepan Ziarko
Collection Location: Bierzwniki, Poland
56798

130425