New Search Family, Subfamily and Tribe List

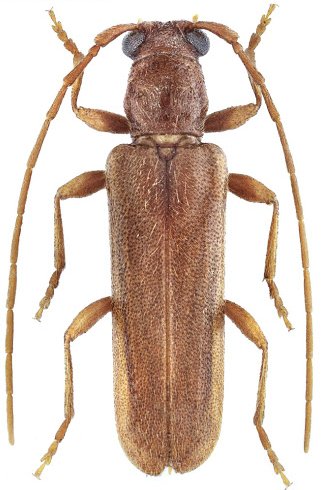
SubFamily Cerambycinae

Tribe Callidiini
Lioderina linearis (Hampe, 1871)

Photographer: Boza & Sedlacek
Collection Location: Czech Republic
75893

130425