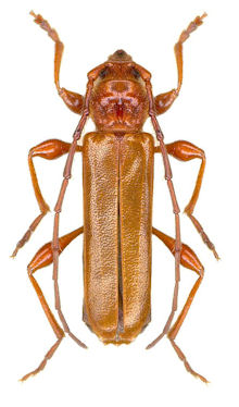
_Redtenbacher_Schmid_photo.jpg)
Specimen Type: syntype Institution: NMW Naturhistorisches Museum, Wien, Austria Photographer: Herbert Schmid Collection Location: Austria 51603
|
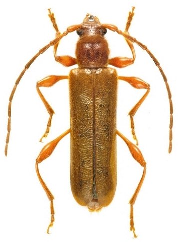
_Redtenbacher_outskirts_of_Karavan_Kharkov_reg_NE_Ukraine_Slutsky.jpg)
Photographer: Alexandr Slutsky Collection Location: outskirts of Karavan, Kharkov region, NE Ukraine 75375
|
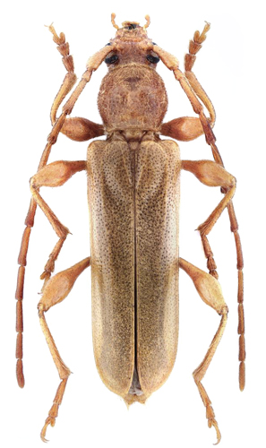
 Redtenbacher Breclav, Moravia Boza Sedlacek.jpg)
Photographer: Boza & Sedlacek Collection Location: Breclav, Moravia, Czech Republic 75886
|

Photographer: Wolfgang Heinkel 51604
|

Photographer: Jacek Kurzawa Collection Location: Serniawy ad Chelm, Poland 51605
|

Photographer: Michal Hoskovec 51606
|
|